Description
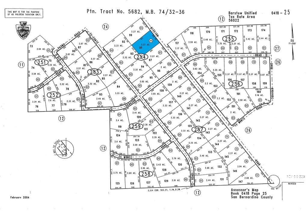
Welcome to the wide-open beauty of Apple Valleys High Desert! This parcel sits just off Dale Evans Rd extension on Slash-X Ranch Road, offering the perfect mix of peace, privacy, and potential. The property features flat, usable terrain with easy dirt-road access and sweeping desert and mountain views in every direction. Whether youre looking for a future home site, a weekend getaway, or a smart land investment, this parcel is an outstanding opportunity to own a piece of Southern Californias rapidly growing desert region. Located in unincorporated San Bernardino County, this area has long been appreciated for its flexible rural zoning, which allows for a variety of uses"residential, agricultural, or recreational. The lot is surrounded by other large-acre parcels, creating a quiet, spacious environment perfect for off-grid living or small ranch use. Buyers can explore options for solar, well water, and septic systems to create a self-sufficient desert retreat. The property is accessible via well-traveled local roads that connect to Apple Valleys town center, Lucerne Valley, and Barstow. This region of Apple Valley continues to attract attention from solar developers, off-grid enthusiasts, and long-term investors thanks to its affordability and central location within the High Desert corridor. Nearby landmarks include the historic Slash-X Ranch Caf, off-road riding areas, and vast stretches of open BLM land ideal for outdoor recreation. Major infrastructure investments and housing expansion in the High Desert communities"Apple Valley, Victorville, Barstow, and Lucerne Valley"continue to make land ownership here a solid investment for the future. If youre seeking a parcel with easy access, open space, and long-term potential, this property checks every box. Explore your options, bring your vision, and take advantage of this chance to secure nearly two and a quarter acres of land in one of Southern Californias most promising rural areas. No utilities connected; buyer to verify zoning, use, and availability of utilities with the County of San Bernardino.
-
0BEDS
-
2.27ACRES
-
0BATHS
-
01/2 BATHS
School Ratings & Info
Description
Welcome to the wide-open beauty of Apple Valleys High Desert! This parcel sits just off Dale Evans Rd extension on Slash-X Ranch Road, offering the perfect mix of peace, privacy, and potential. The property features flat, usable terrain with easy dirt-road access and sweeping desert and mountain views in every direction. Whether youre looking for a future home site, a weekend getaway, or a smart land investment, this parcel is an outstanding opportunity to own a piece of Southern Californias rapidly growing desert region. Located in unincorporated San Bernardino County, this area has long been appreciated for its flexible rural zoning, which allows for a variety of uses"residential, agricultural, or recreational. The lot is surrounded by other large-acre parcels, creating a quiet, spacious environment perfect for off-grid living or small ranch use. Buyers can explore options for solar, well water, and septic systems to create a self-sufficient desert retreat. The property is accessible via well-traveled local roads that connect to Apple Valleys town center, Lucerne Valley, and Barstow. This region of Apple Valley continues to attract attention from solar developers, off-grid enthusiasts, and long-term investors thanks to its affordability and central location within the High Desert corridor. Nearby landmarks include the historic Slash-X Ranch Caf, off-road riding areas, and vast stretches of open BLM land ideal for outdoor recreation. Major infrastructure investments and housing expansion in the High Desert communities"Apple Valley, Victorville, Barstow, and Lucerne Valley"continue to make land ownership here a solid investment for the future. If youre seeking a parcel with easy access, open space, and long-term potential, this property checks every box. Explore your options, bring your vision, and take advantage of this chance to secure nearly two and a quarter acres of land in one of Southern Californias most promising rural areas. No utilities connected; buyer to verify zoning, use, and availability of utilities with the County of San Bernardino.
Based on information from California Regional Multiple Listing Service, Inc. as of 2025-11-16T10:25:36.047. This information is for your personal, non-commercial use and may not be used for any purpose other than to identify prospective properties you may be interested in purchasing. Display of MLS data is deemed reliable but is not guaranteed accurate by the MLS or Robin McCann | EXIT Alliance Realty. Licensed in the State of California, USA.
