Description
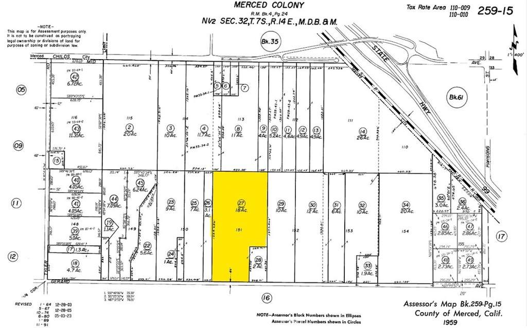
Here is an 18-acre walnut ranch with industrial development potential for sale! The chandler variety walnut orchard was planted in 2017 and the ranch is situated in southeast Merced. This parcel is close to city limits and Hwy 99/UC Merced Campus Expressway, an area anticipated for significant growth and development. The city sewer lines are accessible at Gerard Ave, with future City plans to extend additional utilities to Mission Ave to support new developments. The vicinity is experiencing robust expansion near Mission Ave and retail growth at the new Gateway Marketplace by Hwy 99. This land is zoned M-2 for heavy industrial/manufacturing uses and align with the City of Merced's General Plan for industrial development. The irrigation is currently via a double line drip irrigation system and the ranch is within the Merced Irrigation District for access to Class I district water. However, their current irrigation comes from a well situated across the road on the owner's separate ranch. The seller would be open to a well sharing agreement to continue existing irrigation. Make this ranch your homesite or plan for future development! The property is within the Merced Irrigation District-Urban Ground Water Sustainability Agency (MIUGSA). For more information on SGMA, go to www.sgma.water.ca.gov/portal/. The ownership is also open to selling all lots together.
School Ratings & Info
Description
Here is an 18-acre walnut ranch with industrial development potential for sale! The chandler variety walnut orchard was planted in 2017 and the ranch is situated in southeast Merced. This parcel is close to city limits and Hwy 99/UC Merced Campus Expressway, an area anticipated for significant growth and development. The city sewer lines are accessible at Gerard Ave, with future City plans to extend additional utilities to Mission Ave to support new developments. The vicinity is experiencing robust expansion near Mission Ave and retail growth at the new Gateway Marketplace by Hwy 99. This land is zoned M-2 for heavy industrial/manufacturing uses and align with the City of Merced's General Plan for industrial development. The irrigation is currently via a double line drip irrigation system and the ranch is within the Merced Irrigation District for access to Class I district water. However, their current irrigation comes from a well situated across the road on the owner's separate ranch. The seller would be open to a well sharing agreement to continue existing irrigation. Make this ranch your homesite or plan for future development! The property is within the Merced Irrigation District-Urban Ground Water Sustainability Agency (MIUGSA). For more information on SGMA, go to www.sgma.water.ca.gov/portal/. The ownership is also open to selling all lots together.
Based on information from California Regional Multiple Listing Service, Inc. as of 2026-01-12T14:33:43.05. This information is for your personal, non-commercial use and may not be used for any purpose other than to identify prospective properties you may be interested in purchasing. Display of MLS data is deemed reliable but is not guaranteed accurate by the MLS or Robin McCann | EXIT Alliance Realty. Licensed in the State of California, USA.
